INWENTARYZACJA POWYKONAWCZA
Inwentaryzacji podlegają wszystkie obiekty, których powstanie, przebudowa czy montaż wcześniej wymagały uzyskania pozwolenia.Inwentaryzacja uwzględnia:
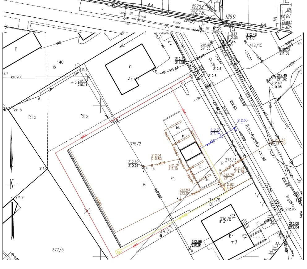
Wszelkie ustalenia oraz wyniki pomiarów geodeta uwzględnia na mapie z geodezyjnej inwentaryzacji powykonawczej. Tylko dzięki nim możliwe jest naniesienie na mapę zasadniczą nowych obiektów i zmian. Finalnym efektem jest mapa z inwentaryzacji powykonawczej oraz informacji o zgodności usytuowania obiektu budowlanego z projektem zagospodarowania działki.
Mapa, która powstaje w trakcie geodezyjnej inwentaryzacji powykonawczej, jest podstawą do wydania dokumentów potrzebnych do :